Der heutige Morgen begann sehr dekadent. Aber genauso wie ich es zu meinem Geburtstag geplant hatte. Kanu Frühstück auf unserem Overwater Bungalow auf Bora Bora.










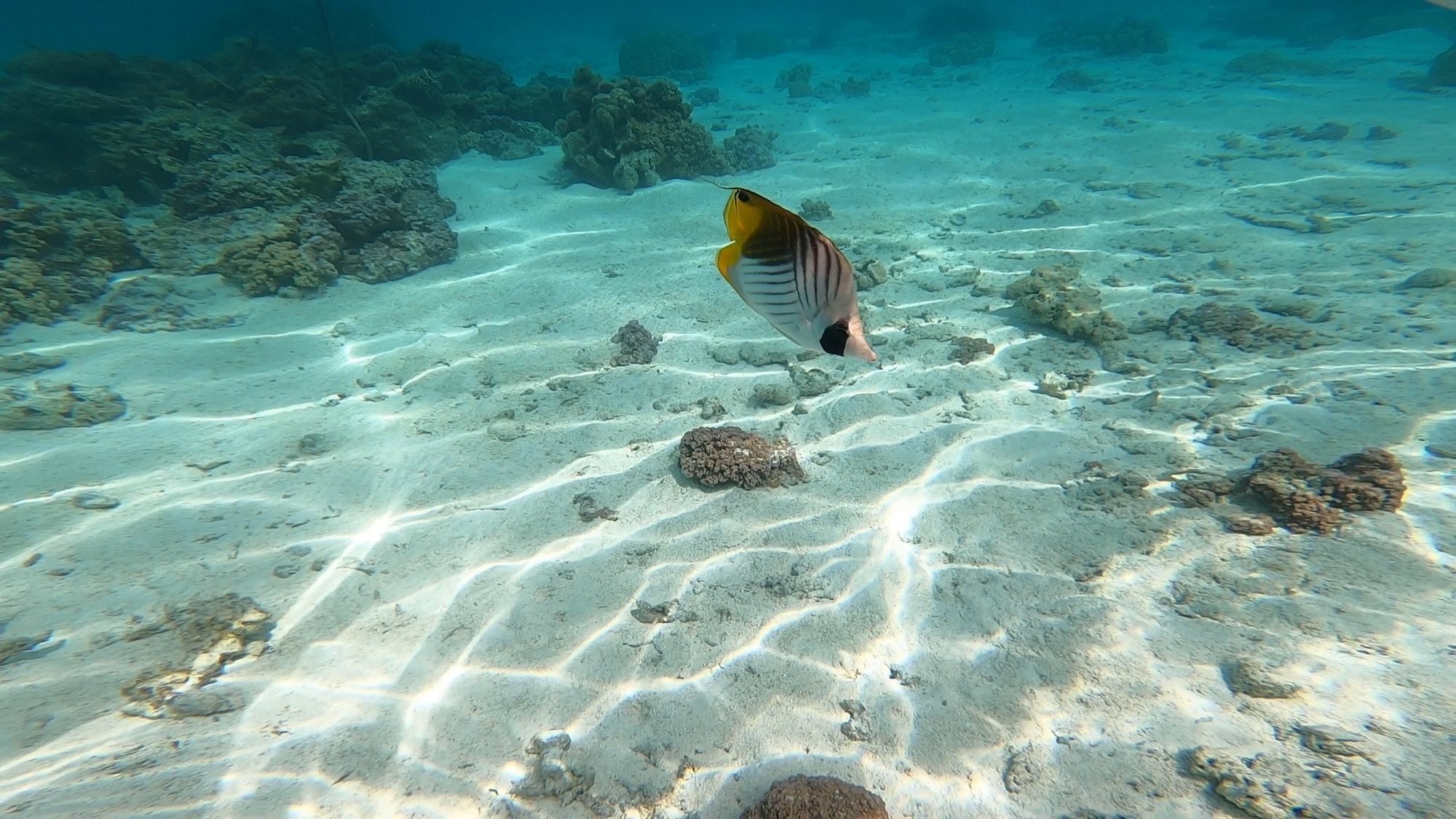
Einfach total genial, die Angestellten sind mit dem Kanu zu uns gefahren, und haben uns das Frühstück dann auf unserer Terrasse vor unseren Augen zubereitet. Das war schon sehr nett anzusehen. Auch wenn es etwas zu viel an Essen war, haben wir es doch sehr genossen und einen großen Teil auch an die Fische verfüttert, mit denen wir dann hinterher schnorcheln waren. So konnten wir sie anlocken und gute Fotos machen. Das war schon sehr Dekadent wie ich zugeben muss. Aber man wird ja nur einmal 44 und ist auf Bora Bora.
Und hier die versprochenen Bilder ohne Regen von der Anlage.











Am heutigen Tag habe ich mir gewünscht, noch mal mit Haien schnorcheln zu gehen. Daher haben wir eine Tour gebucht, die Schnorcheln mit Haien beinhaltet. Und was soll ich sagen, wir wurden nicht enttäuscht. Es war zwar sehr gruselig, weil sie sehr nah an einem herangeschwommen sind und auf einmal vier Stück vor einem schwammen.






















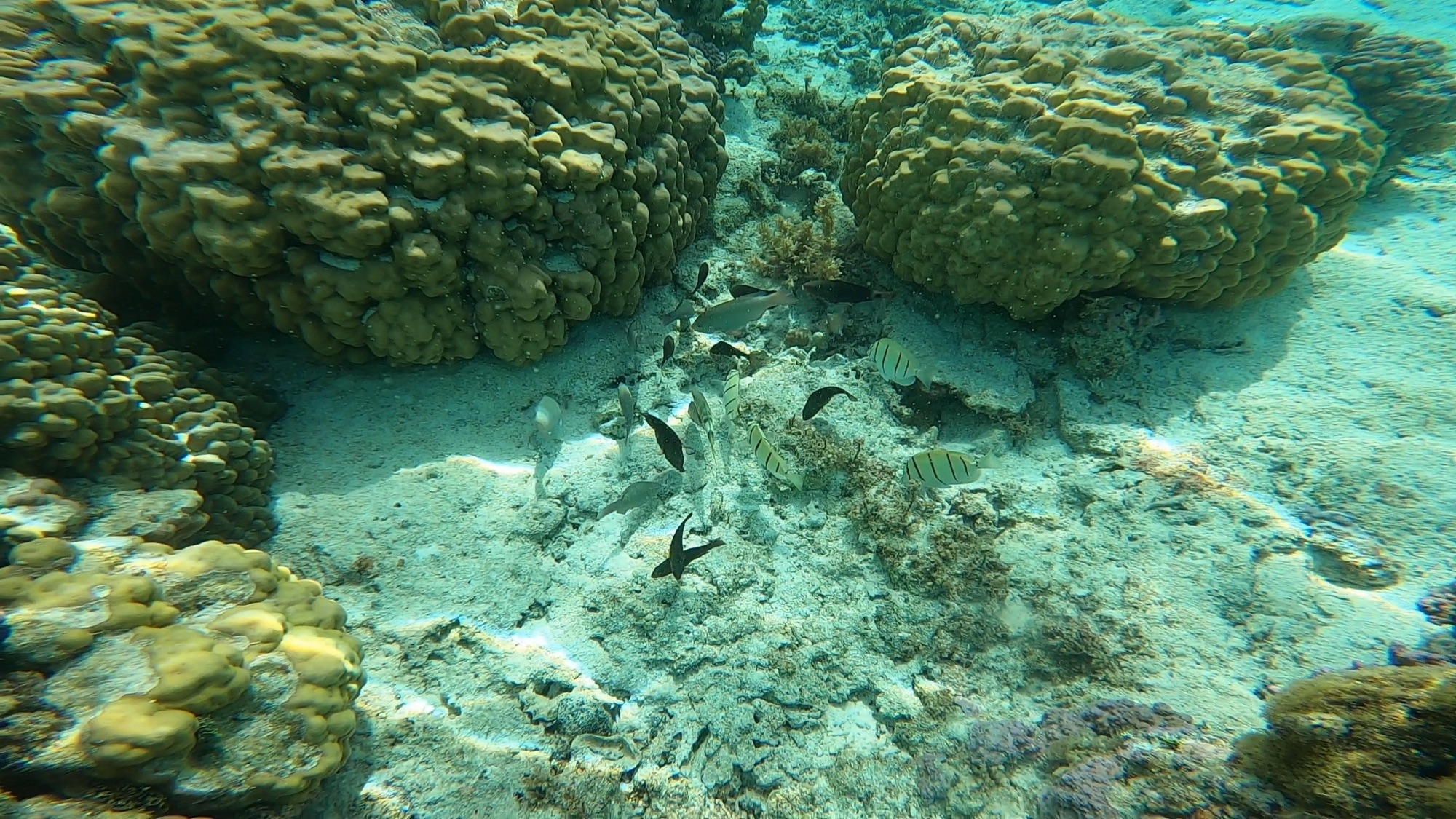
Aber sie tun einem nichts. Ich habe diese Angst überwunden, und bin stolz auf mich, das kann man ja auch schon mal zugeben. Anschließend sind wir dann noch an einem anderen Schnorchel Spot gefahren, und zwar in den Korallengarten. Dort haben wir sehr viele Fischarten gefunden, und viele noch lebende Korallen. So habe ich die Korallen in ihrer Schönheit noch nie gesehen. Es war ein Erlebnis, dass ich so schnell nicht vergessen werde.









Zurück im Hotel haben wir uns dann erst mal Champagner und Cocktails gegönnt.
